Bekanntmachungen
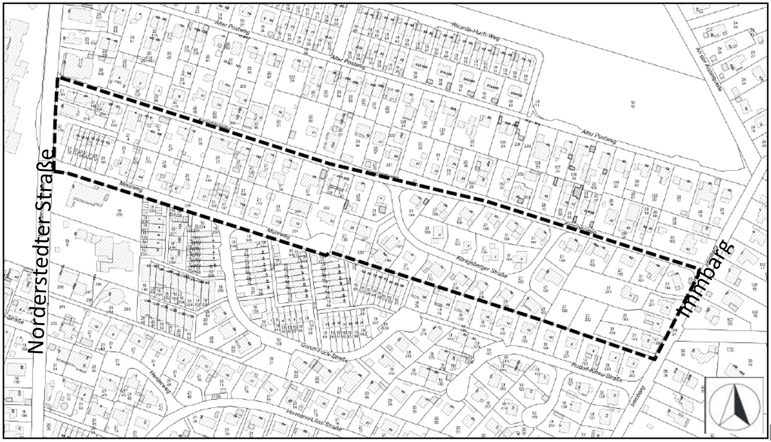
Bebauungsplan Nr. 157 „Südlich Kirschenweg – westlich Immbarg“
Gebietsbezeichnung:
- nördlich der Straße Moorweg und der Bebauung der Gorch-Fock-Straße und der Rudolf-Kinau-Straße
- östlich der Norderstedter Straße
- südlich der Straße Kirschenweg
- westlich der Straße Immbarg
im Ortsteil Rhen
Die Gemeindevertretung hat in der Sitzung 20/2023-2028 am 25.11.2025 den Bebauungsplan Nr. 157 „Südlich Kirschenweg – westlich Immbarg“ für das oben genannte Gebiet, bestehend aus der Planzeichnung (Teil A) und dem Text (Teil B), als Satzung beschlossen. Dieses wird hiermit bekannt gemacht.
Ausgleichsmaßnahme:
Den Eingriffen auf den Flurstücken 21/198, 21/202 und 21/203 tlw., Flur 14, Gemarkung Henstedt in die Schutzgüter Boden und Arten und Lebensgemeinschaften werden 4.000 Ökopunkte auf dem anerkannten Ökokonto „Endern“ (Flurstück 22, Flur 16, Gemarkung Kisdorf) zugeordnet.
Abb. Fläche Ökokonto „Endern“
Der Bebauungsplan tritt nach Ablauf des Bekanntmachungstags (20.12.2025) in Kraft. Alle Interessierten können den Bebauungsplan, die Begründung und die zusammenfassende Erklärung dazu von diesem Tage an in der Gemeindeverwaltung (Rathaus) in Henstedt-Ulzburg, Rathausplatz 1, Zimmer 3.16, während der Öffnungszeiten für den Publikumsverkehr (montags, dienstags, donnerstags und freitags von 8:00 bis 12:00 Uhr sowie donnerstags zusätzlich von 14:00 bis 18:00 Uhr bzw. nach Terminvereinbarung) einsehen und über den Inhalt Auskunft erhalten. Zusätzlich wurden alle Planunterlagen samt der dazugehörigen Gutachten auf der Gemeindehomepage unter der Bauleitplanung eingestellt.
Beachtliche Verletzungen der in § 214 Abs. 1 und 2 BauGB bezeichneten Vorschriften werden unbeachtlich, wenn sie nicht innerhalb eines Jahres seit dieser Bekanntmachung schriftlich gegenüber der Gemeinde geltend gemacht worden sind. Dasselbe gilt für die nach § 214 Abs. 3 Satz 2 BauGB beachtlichen Mängel des Abwägungsvorgangs. Dabei ist der Sachverhalt, der die Verletzung oder den Mangel begründen soll, darzulegen (§ 215 Abs. 1 BauGB).
Auf die Vorschriften des § 44 Abs. 3 Satz 1 und 2 sowie Abs. 4 BauGB über die fristgemäße Geltendmachung etwaiger Entschädigungsansprüche für Eingriffe durch diesen Bebauungsplan in eine bisher zulässige Nutzung und über das Erlöschen von Entschädigungsansprüchen wird hingewiesen.
Unbeachtlich ist zudem eine Verletzung der in § 4 Abs. 3 GO bezeichneten landesrechtlichen Formvorschriften über die Ausfertigung und Bekanntmachung der B-Plan-Satzung sowie eine Verletzung von Verfahrens- und Formvorschriften der Gemeindeordnung, wenn sie nicht schriftlich innerhalb eines Jahres seit Bekanntmachung der Satzung gegenüber der Gemeinde unter Bezeichnung der verletzten Vorschrift und der Tatsache, die die Verletzung ergibt, geltend gemacht worden ist.
